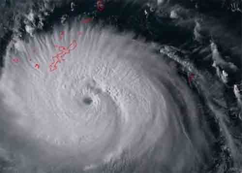
天文台表示,風暴「軒嵐諾」結構完整,它擁有一顆渾圓的風眼,應會超越4月時的超強颱風「馬勒卡」,成為今年西北太平洋上的「風王」,相信會為其途經之處帶來嚴重的影響。
【附污水呈陽性名單】127幢住宅大廈納最新強檢名單 多個大型屋苑涉陽性個案

另預測,「軒嵐諾」現時中心附近最高持續風速達每小時240公里,料將升至250公里,風力與2018年襲港的超強颱風「山竹」一樣。
天文台解釋,與在西北太平洋上熱帶氣旋典型的「轉向型」路徑相比之下,「軒嵐諾」的預測移動路徑較為獨特。
【以黑底白字表示…】袁偉豪罕有公開狠批TVB節目 惹網民熱議!
受高空反氣旋引導,「軒嵐諾」在未來一兩日會先向西南方向移動。隨後受華中的高空西風槽影響,高空反氣旋會稍為減弱,「軒嵐諾」所受的引導氣流會有所改變,以致「軒嵐諾」會在台灣以東海域改變移動方向。現時最新概率預報顯示,「軒嵐諾」較大機會採取偏北移動方向,但亦有一定可能性會採取偏西移動路徑,移向台灣一帶。

天文台預測,受乾燥大陸氣流及超強颱風軒嵐諾的外圍下沉氣流影響,未來數日中國東南部大致晴朗及持續酷熱。預料一道廣闊低壓槽會在下週中後期為廣東沿岸及南海北部帶來驟雨。此外,軒嵐諾會在今明兩日於台灣以東海域徘徊,隨後採取偏北路徑移動,移向東海一帶。
(綜合報道)



